We bring market insights, news and lifestyle updates direct to your inbox.

Sign up to our newsletters

See the properties 
defining luxury in the 
Luxury Homes magazine

Property main details

Commercial

  • Sold For $342,000
  • Industrial/Warehouse

Specifications

  • Property Type
    Industrial/Warehouse
  • Building
    114 m2
  • Land
    2552 m2

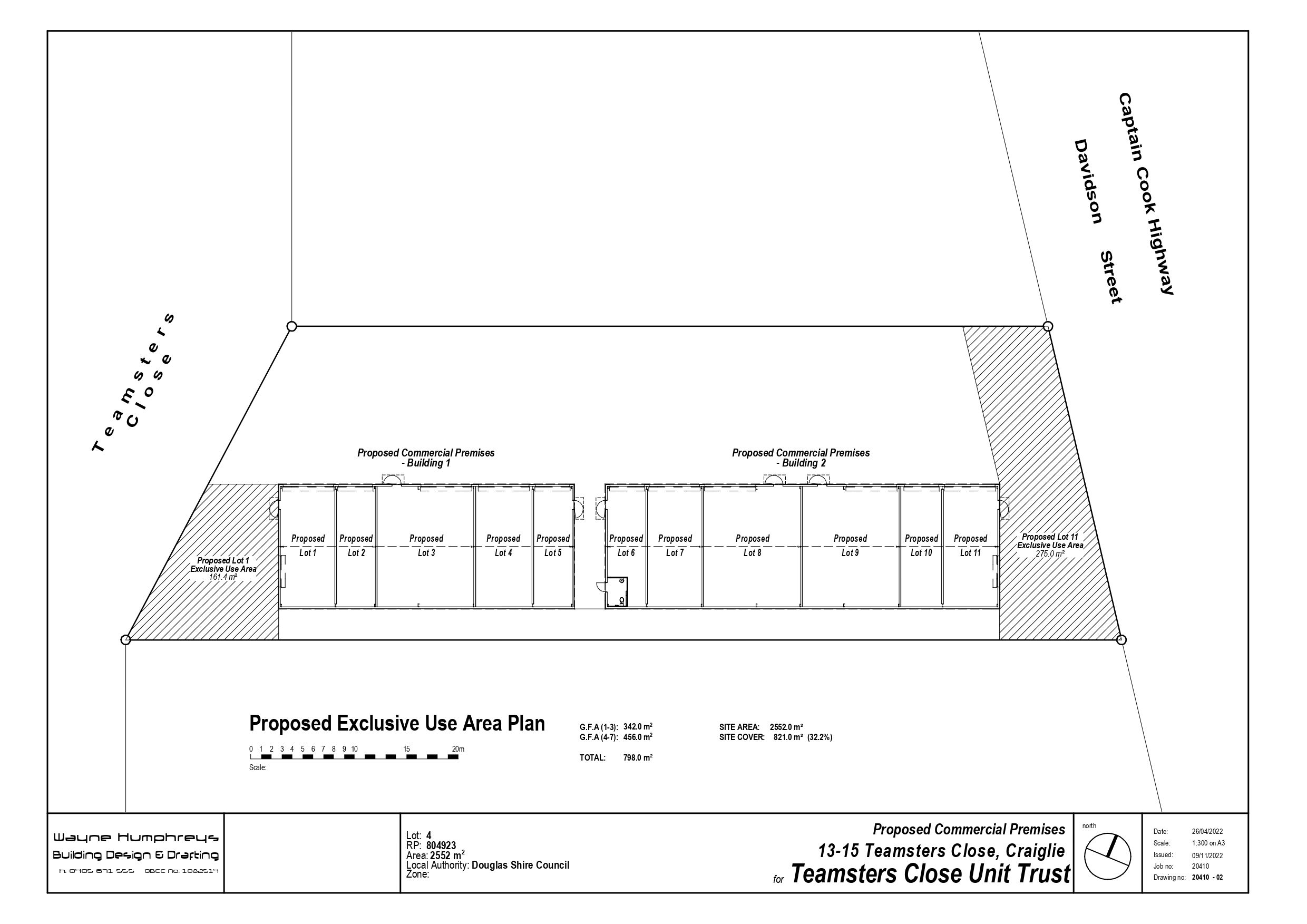
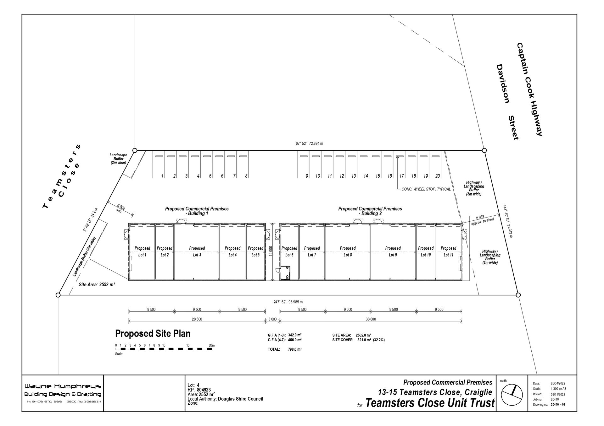
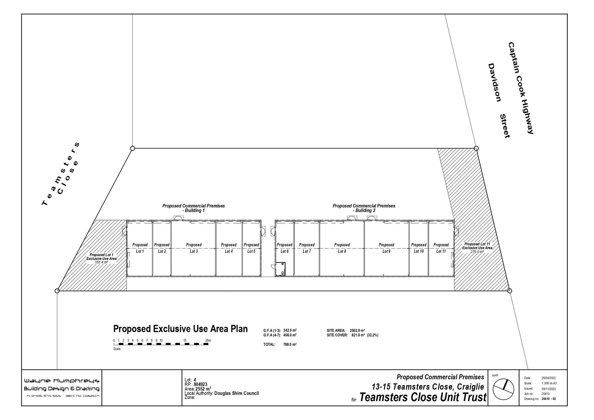
Craiglie Affordable Commercial Opportunities

A rare opportunity to own a modern newly built storage or work place facility for private use, or investment purposes. Currently under construction in the Craiglie Commercial Precinct, due for completion in early 2023. Choose from 11, separately sized sheds, with provisioning on each lot for water, power up to 3 phase if required and telecommunication/data line access.

Price List:
Lot 1: 67.1sqm - $295,240+gst - includes private holding yard (sqm to be confirmed)
Lot 2: 46.9sqm - $154,770+gst
Lot 3: 114sqm - $285,000+gst
Lot 4: 67.1sqm - $221,430+gst
Lot 5: 46.9sqm - $154,770+gst
Lot 6: UNDER OFFER
Lot 7: 64.9sqm - $214,170+gst
Lot 8: 114sqm - $285,000+gst
Lot 9: 114sqm - $285,000+gst
Lot 10: 49.1sqm - $162,030+gst
Lot 11: 64.9sqm - $324,500+gst - includes private holding yard (sqm to be confirmed)

At a glance:
• High Clearance Roller Doors
• Easy access off the highway
• Ample On-site Parking
• High traffic exposure site
• Water
• Power (up to 3 phase, if required)
• Telecommunications/ data line access
• Flexible leasing options also available

Get in touch

We'd love to hear from you

If you're interested in looking at properties around the area, or want the latest information on the market in your neighbourhood, we'd love to hear from you. 

1/13-15 Teamsters Close Craiglie 4877, Queensland
Back to top