We bring market insights, news and lifestyle updates direct to your inbox.

Sign up to our newsletters

See the properties 
defining luxury in the 
Luxury Homes magazine

Property main details

1
1

Home For Sale

  • Sold
  • House

Specifications

  • Property Type
    House

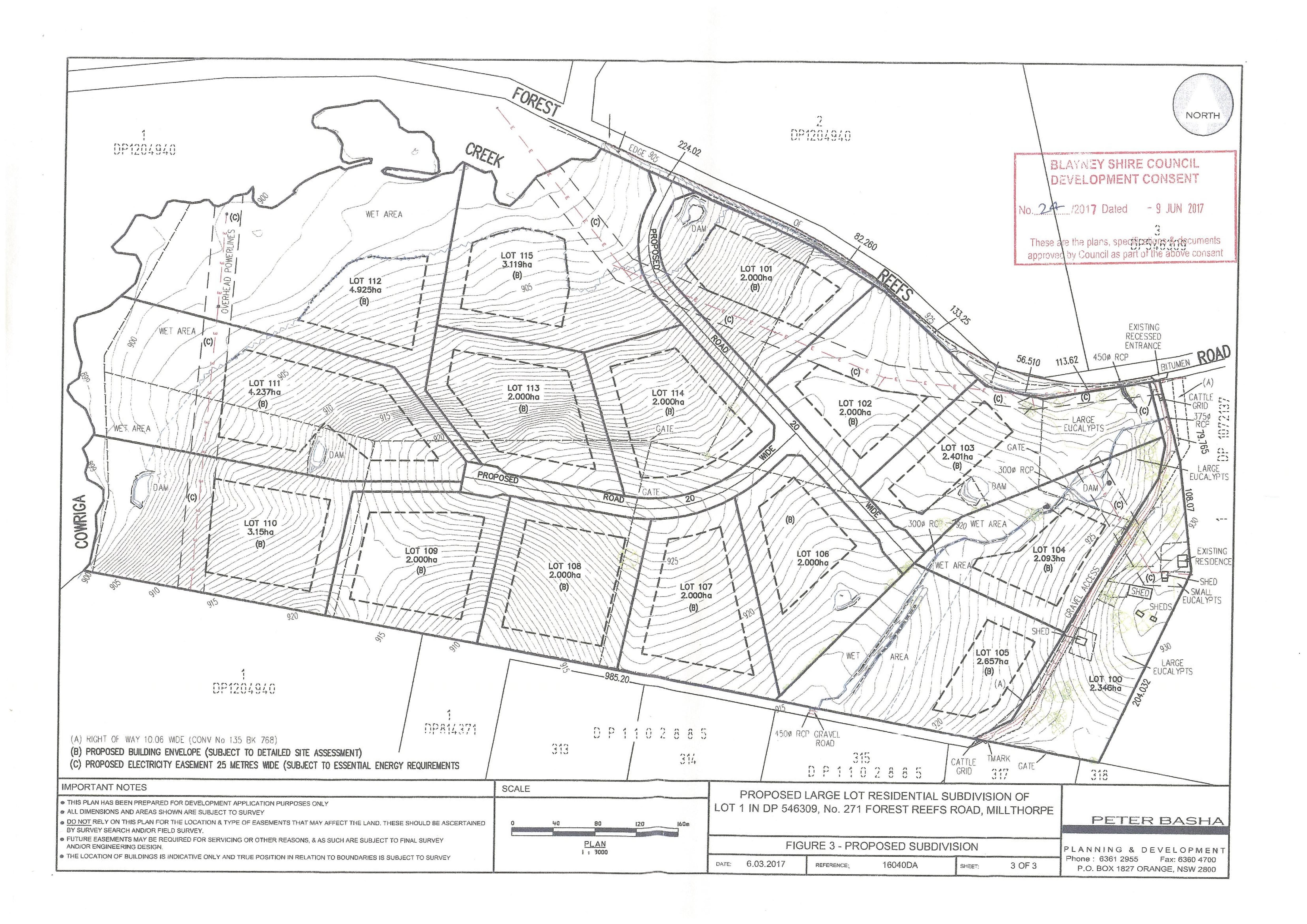
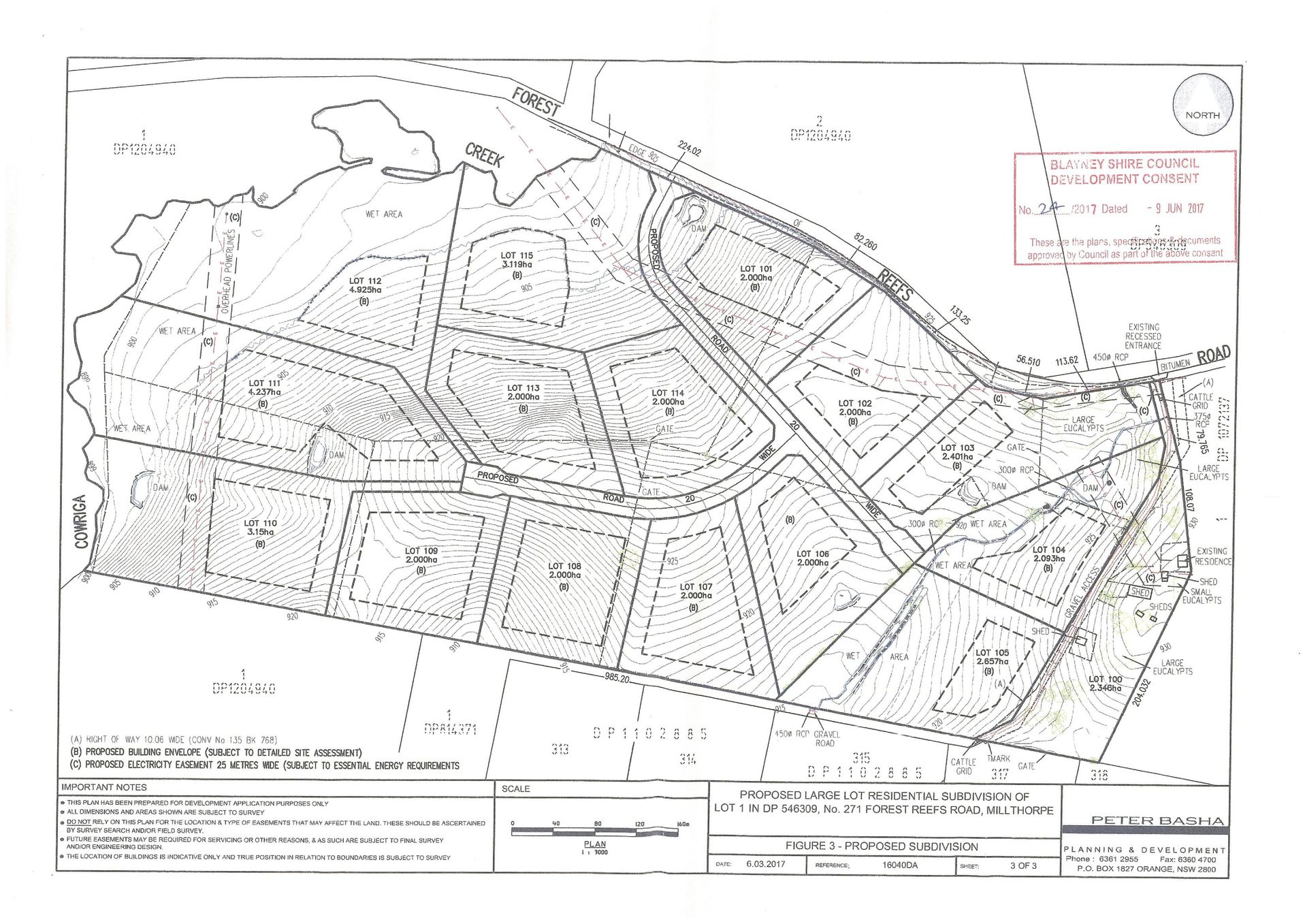
"Lynwood" Millthorpe 106 acres, Bluestone Cottage

Lifestyle, landbank and approved subdivision
"Lynwood" ideally located just 2km from Millthorpe this productive 106 acres is boarded by Cowriga Creek on the west and Forest Reefs Rd to the north. Building include and older heritage bluestone cottage with a detached more modern studio, a large older shed ( has been used for shearing), a vehicle shed and a hay shed. Much of the property can be driven over and the boundary is fenced. A 16 lot subdivision has been approved.

This property features:

- 106 acres of undulating, attractive, rolling pastures with shade and shelter trees
- Council approved 16 lot subdivision;
- Some 2km to the regional destination Millthorpe
- Excellent access to Orange airport
- Electrically equipped well for house and garden water
- Almost a kilometer of frontage to permanent Cowriga Creek

This holding is ideally positioned to become a prestigious local rural lifestyle property, or held as a landbank for the future or developed now into 16 small rural holdings. It is close to the cafe and dining center of Millthorpe, easy run to Orange airport and with good access to shopping in both Orange and Bathurst. Being a dormitory area for Orange, it benefits from the thriving regional community with its major public hospital, private hospital; University, TAFE, public and private schools, Government departments, and businesses. Orange is just 250km from Sydney with air, bus and rail services. The property is part of a deceased estate and will be sold.

Please contact agent to book private inspections.

Land Size: 43 Hectares (106 acres)

Price: To be Auctioned Friday 1st December at the Ray White Emms Mooney Auction Centre 152 William Street, Bathurst Nsw 2795 - unless sold prior

Agents:
Tom Sheehan: 0414 418 232
Stewart Murphy: 0427 363 118

Get in touch

We'd love to hear from you

If you're interested in looking at properties around the area, or want the latest information on the market in your neighbourhood, we'd love to hear from you. 

271 Forest Reefs Road Millthorpe 2798, New South Wales
Back to top